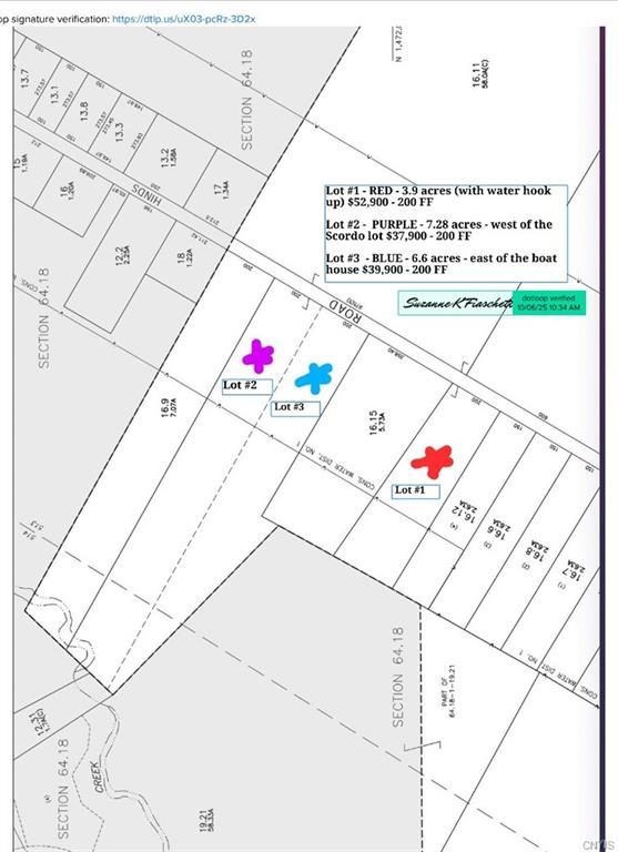
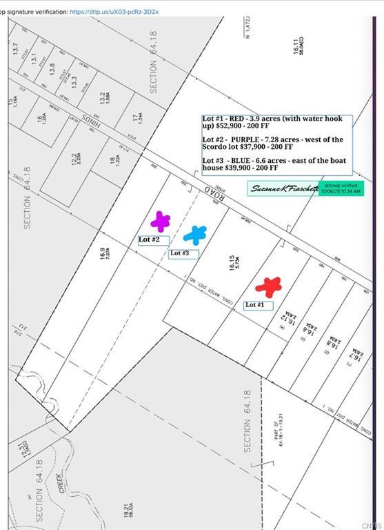
Hinds Rd - lot #1 - RED, Pamelia, NY 13601
Central New York Information Services Listing Number: S1645265
Hinds Rd - lot #1 - RED, Pamelia, NY 13601
3.9000 Acres
$52,900
Enter Your Information to Receive Updates on This Property
Your Contact Info Will Be Shared with the Listing Agent
Name
Email
Submit
Successfully Submitted!
Continue
Failed!
Go Back
Details
Link Copied
Send To
Name
Email
From
Your Name
Your Email
Your Phone
Subject
Message
Submit
Successfully Submitted!
Continue
Failed!
Go Back
Additional Media