Tour Unavailable

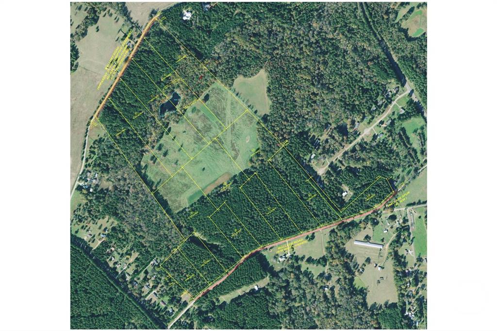
Lot 13 Wallace Road, Madison, GA 30650 | CM1021940

Enter your email to follow this listing and receive updates when any changes are made.

Submit

If you feel you have reached this page in error, please visit Property Panorama’s Homepage or contact one of our  Support Specialists!